Çiftçiye ilaçlama tavsiyesi
Kırklareli İl Tarım ve Orman Müdürü Mehmet Aksoy ekili alanlarda hastalık ve zarar kontrollerinde bulundu.
Kırklareli İl Tarım ve Orman Müdürü Mehmet Aksoy ekili alanlarda hastalık ve zarar kontrollerinde bulundu.
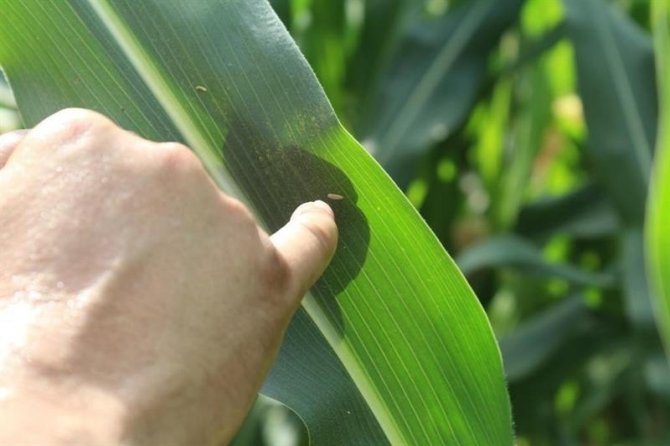
Kırklareli İl Tarım ve Orman Müdürü Mehmet Aksoy ekili alanlarda incelemelerde bulundu. İl Müdürü Aksoy, sahada yapılan kontroller sonucunda, Domates Güvesi'nin tuzak sayımlarında arttığı gözlemlendiğini belirterek, "Sahada yapılan kontroller sonucunda, domatesin önemli zararlısı olan Domates Güvesi'nin tuzak sayımlarında arttığı gözlemlenmiş üreticilerimizin ruhsatlı ilaçlarla domates bitkisini ilaçlamaları gerekmektedir. Mısır tarlalarında yapılan gözlemlerde ise bitkinin ve koçanın gelişiminde zararlı ve hastalık tespitinde bulunulmuş olup yaprak kurdu zararı ve yüksek sıcaklıkların koçanlarda döllenmeyi etkilediği gözlemlenmiştir" dedi.
Üreticilerin kullandıkları ilaçların Tarım ve Orman Bakanlığı tarafından ruhsatlandırılmış ilaçlar olması gerektiğinin altını çizen Aksoy, ilaçlamaların akşam üzeri ve rüzgarsız hava şartlarında uygulanmasını belirtti.




Türkçe karakter kullanılmayan ve büyük harflerle yazılmış yorumlar onaylanmamaktadır.